Contents
Home
Surnames
Index
Sources
Contact
Back
Search
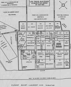
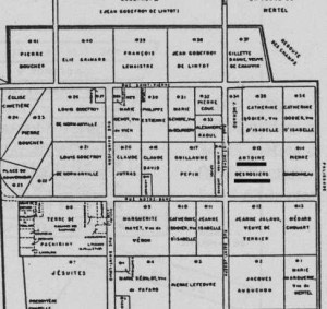
Marin CHAUVIN dit LA FORTUNE & % Gillette BANNE - Media
Marin CHAUVIN dit LA FORTUNE & % Gillette BANNE - Media
gillette-banne-8a
gillette-banne-8b
gillette-banne-8a
gillette-banne-8b
Related Media Pages:
% Gillette BANNE